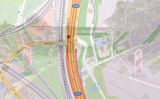
Arbeiten an Wasseranschluss legen Mainzer Straße am Sonntag lahm
// Excerpt anzeigenAm Sonntag, 14. September, wird die Mainzer Straße in Wiesbaden stadtauswärts voll gesperrt. Grund ist eine beschädigte Anbohrschelle an der Wasserleitung, die ESWE Versorgung austauscht, um eine drohende Fahrbahn-Unterspülung zu verhindern. Autofahrer sollten Umleitungen nutzen.



 
			        	
			         Arbeiten an Wasseranschluss legen Mainzer Straße am Sonntag lahm
Arbeiten an Wasseranschluss legen Mainzer Straße am Sonntag lahm             Vom Elsässer Platz zum Real-Gelände: Das Frühlingsfest lebt weiter
Vom Elsässer Platz zum Real-Gelände: Das Frühlingsfest lebt weiter             Arbeiten an Gasleitung in Mainzer Straße
Arbeiten an Gasleitung in Mainzer Straße            

 Wiesbaden: Stau und Verkehrschaos wegen Bauern-Demo
Wiesbaden: Stau und Verkehrschaos wegen Bauern-Demo             Das wird die neue Zentrale der Hessen Agentur
Das wird die neue Zentrale der Hessen Agentur             „Real“ in der Mainzer Straße schließt
„Real“ in der Mainzer Straße schließt             Neue Busspur und zusätzliche Autospur
Neue Busspur und zusätzliche Autospur             Bypass Mainzer Straße: Busse werden pünktlicher
Bypass Mainzer Straße: Busse werden pünktlicher             Verkehrseinschränkungen in der Mainzer Straße
Verkehrseinschränkungen in der Mainzer Straße            
